
化學所特聘教授劉如熹研究團隊成果:革命性近紅外螢光材料以結構創新與機制演進開啟應用新篇章 榮登國際頂尖期刊
瀏覽器版本過舊,或未開啟 javascript
請更新瀏覽器或啟用 javascript
公衛地球日參與人員大合照。右三為蔡坤憲助理教授、右四為陳為堅院長、右五為詹長權副院長。
圖一、陳為堅院長致詞
圖二、詹長權副院長致詞,後方為熱情參與的國際學生
圖三、全體參與人員於全球廳外空地分組集合
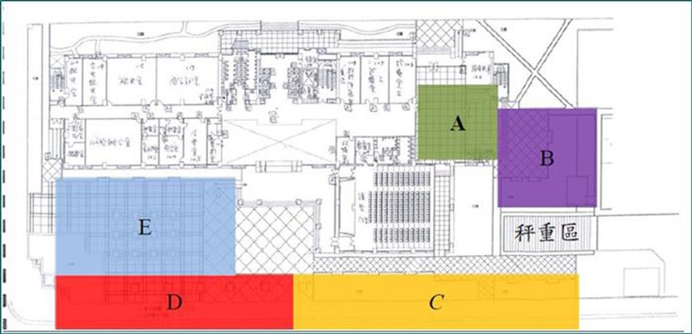
圖四、地球日活動責任區分配圖
圖五、公衛大樓一樓廣場的水溝清掃作業,學生們正合力抬起溝內底層網墊
圖六、水溝底部淤泥徹底清除
圖七、將泥土落葉收集到堆肥桶中
圖八、去年完成的堆肥土壤種植鳶尾花幼苗
圖九、收集而來的泥土落葉進行秤重並記錄。
圖十、健康步道涼亭區的水溝清掃作業
圖十一、王根樹總務長於花圃旁關心大家的工作狀況
圖十二、午休時間一邊乘涼享用熱騰騰的粽子
圖十三、陳為堅院長親臨現場為大家打氣
為了響應2016年世界地球日,公共衛生學院全體師生和公共衛生大樓管理委員會於6月3日共同舉辦了「2016臺大公衛學院地球日五週年活動-活化與再生」,地點於公衛大樓一樓戶外區和全球廳。這項活動目的為美化環境、珍愛地球。活動內容為徹底清理公衛大樓周遭的水溝,以活化排水功能,避免蚊蟲孳生;妥善收集淤泥落葉作為堆肥,用以植栽培育;循環再利用的同時,也添了幾分綠意,為公衛生活圈帶來生氣。公共空間的全球廳,則透過清除蜘蛛網和落葉灰絮,讓休憩和閱讀環境更加舒適、自在。
本次五周年活動在陳為堅院長和詹長權副院長熱情號召下,共計56位師生同仁一同參與,清出總量524.5公斤的泥土落葉,成果豐碩,有效整頓公衛大樓周邊環境衛生。
學院的地球日活動已邁入第五年,活動宗旨為「活化與再生」。在許多師長前輩的支持和參與下,歷久不衰而傳承延續至今。為了響應世界地球日,陳院長和詹副院長於2012年有了舉辦此活動的想法,而在環衛所蔡坤憲老師的主導籌備下,首屆公衛學院地球日活動在同年誕生,以初試啼聲之姿,宣告全體公衛學院的師生同仁對於地球日的支持和行動。
本屆五週年擴大舉辦的活動中,除了廣召公衛大樓各樓層系所單位一同參與,更有歐尼百克OTNY廠商贊助活動贈品-抗UV涼感袖套,以鼓勵大家踴躍報名。活動內容包含了分組清掃公衛大樓周邊水溝,疏通排水管線並將淤泥回收以用於新苗植栽,同時納入了全球廳的清掃工作,藉由清除牆沿落葉和蜘蛛網,提升廳內活動的舒適度。人力充足、清掃區域擴大之下,展現了地球日活動全新面貌,公衛大樓由內而外煥然一新。
上午十點,蔡坤憲老師和助理們便跟著黃武龍先生一起清點、準備掃具,並且依各組人數分配數量,於全球廳外擺放整齊。十一點一到,大家便陸續到場,依公布的分組名單集合。陳為堅院長於百忙之中抽空為活動致詞,感性分享前幾年地球日活動點滴,勉勵大家的同時,不忘提醒各位謹記公共衛生的精神。詹長權副院長則帶來了幾位國際學生加入清掃行列,細數並讚揚過去活化與再生成果,致詞最後也祝福今天的地球日活動圓滿成功。
因參與人數眾多,本次活動共分五組進行工作。戶外清掃範圍涵蓋公衛大樓一樓廣場的健康步道區、乘涼休憩區,連接至徐州宿舍的101教室南側人行道,以及全球廳外的空地、花圃,室內掃區則為全球廳。工作內容主要為改善水溝排水功能和種植幼苗。首先將水溝蓋掀開,把底層鐵網抬起,以便徹底清除溝渠內淤積泥沙和落葉。接著將清出的落葉泥土桶裝收集,秤重、紀錄後回收,利用微生物和蚯蚓消化分解落葉泥土。而去年堆肥完成的肥沃腐植土壤,便在這次活動中循環利用,將其填於預先規劃的花圃空地處,掘土翻鬆後便將鳶尾花幼苗種下,為公衛學院增添綠色生氣。
全球廳位於公衛大樓東側,在詹長權副院長大力推動下,於2013年竣工並啟用。內部布置圖九、收集而來的泥土落葉進行秤重並記錄。
舒適桌椅,備有流理台及吧檯,讓師生同仁都能在這裡自習、休憩,氣氛閒適、機能豐富,目前常用於接待外賓、舉辦師生交流活動等等。透過本次活動的工作,將桌椅和擺設物品挪開,方便清除牆沿的蜘蛛網,同時掃除角落的落葉灰絮。在國際學生們的同心協力下,清掃完後的全球廳變得整潔、明亮,想必也會使得休憩和閱讀環境更加舒適,聯誼與交流氣氛更加自在。
總務長王根樹老師亦趁公務繁忙之餘,到場觀摩和指導,同時記錄並了解活動進行的情況。時至中午,各項工作已告一段落,便發下粽子作為午餐,補充能量、恢復體力之餘,還能應景助興,感受端午時節氣氛。活化與再生,意味環境綠美化和循環再利用,藉由這次的地球日活動,不僅能讓參與的大家了解環境整潔的必要性,更透過身體力行的參與、勞動,來體會生態資源循環利用的價值、感受公衛生態圈的生生不息。
環境衛生的維持值得所有人共同且持續的努力,相信本次活動除了環境整頓的豐碩成果外,也帶給大家飽滿的成就感和好心情,公衛學院地球日活動-活化與再生,我們明年再見!(文/席鼎恩(環衛所碩一) 圖/賴羿廷)
當期焦點